Acreage
$275,000
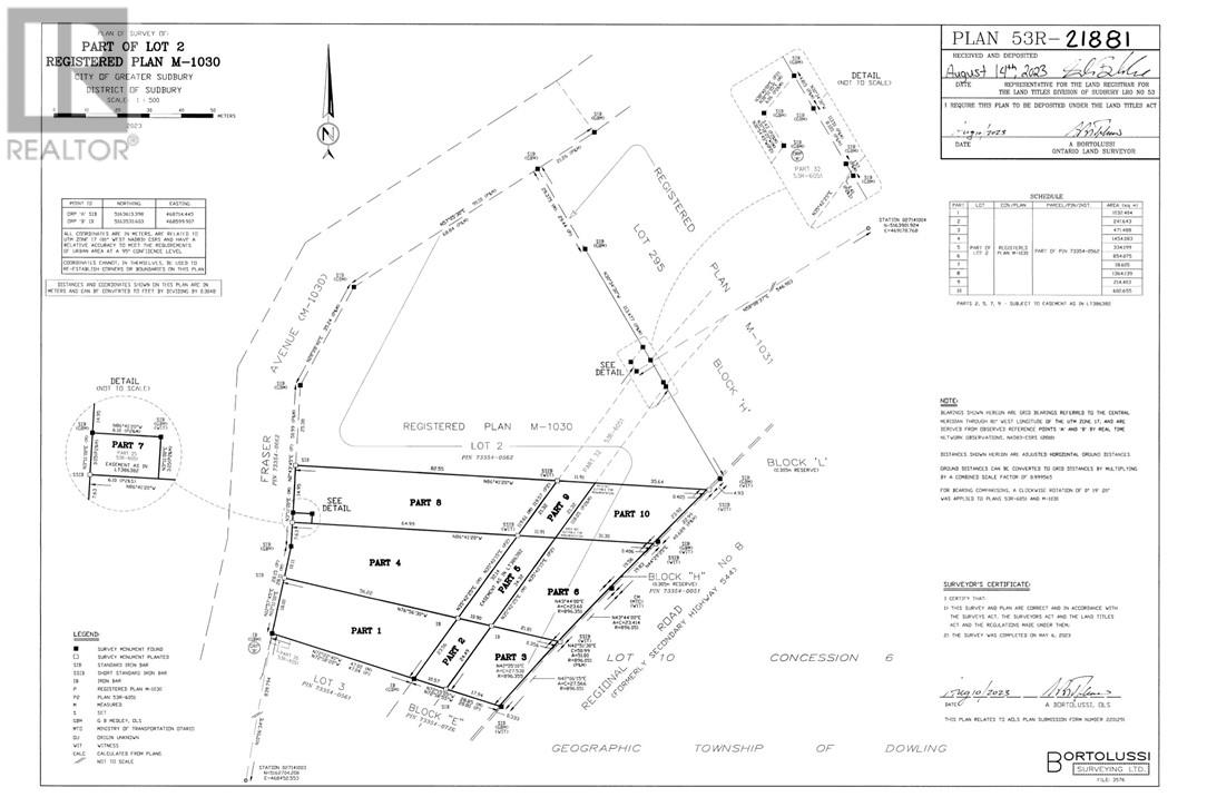
Investment meets ease in the quiet community of Onaping. Situated just 35-minutes from Sudbury, this 3.5 acre parcel is the perfect project for developers, builders, or savvy investors looking to capitalize on Northern Ontario's housing demand. The work involved in subdividing and zoning is already done. Currently held as a single parcel until severance is registered with the city, it offers the unique flexibility to either follow the existing plan or pivot to a strategic layout as per the current completed survey. Lots 1-3 each features approximately 60’ frontage with expansive depths of 245’ to 300’ plus. (see survey) Lot 4 being the balance of the acreage, boasting 424’ of frontage on Fraser Avenue. (see survey) A strategic buyer may also benefit from significant HST savings by choosing to register the final splits themselves. The R2-2 zoning versatility currently permits Single Family, Duplex, and Semi-Detached builds, with high potential for a Multi-Family development. Municipal water and sewer are located on Fraser Ave. ""The Buyer is responsible for verifying all the information from an independent source"" (id:49269)
Property Details
|
MLS® Number
|
2126717 |
|
Property Type
|
Vacant Land |
|
Road Type
|
Paved Road |
Building
|
Utility Water
|
Municipal Water |
Parking
Land
|
Access Type
|
Year-round Access |
|
Acreage
|
Yes |
|
Sewer
|
Municipal Sewage System |
|
Size Irregular
|
594 X Irr |
|
Size Total Text
|
594 X Irr|3 - 10 Acres |
|
Soil Type
|
Mixed Soil, Sand/gravel |
|
Zoning Description
|
R2-2 |
https://www.realtor.ca/real-estate/29449731/57-fraser-avenue-onaping